1896 map

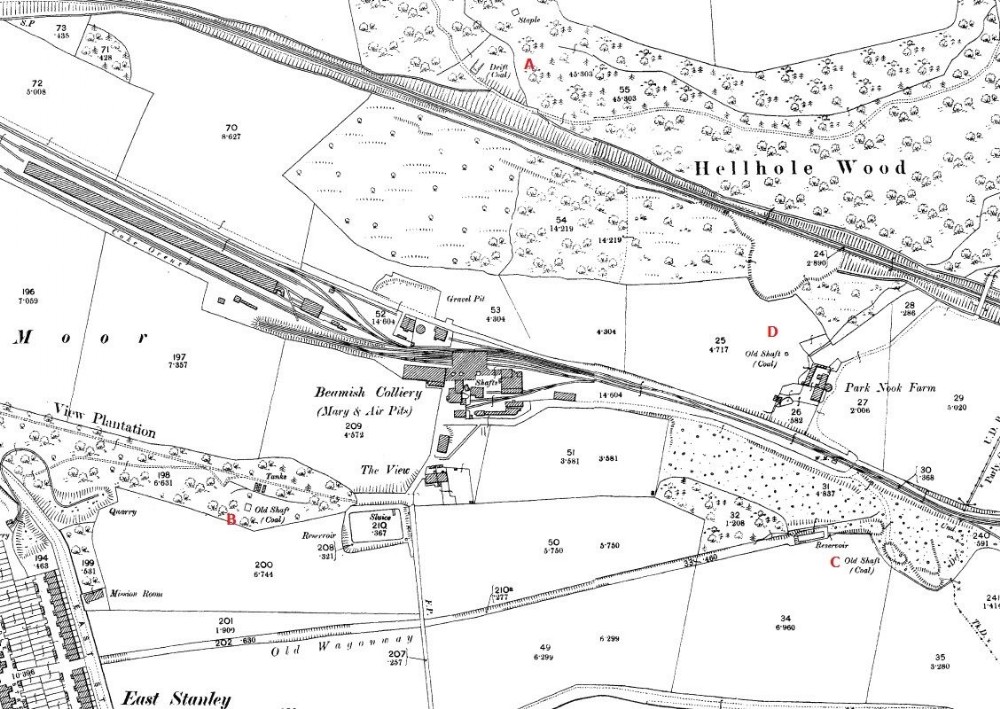
Showing the mine in full swing, note the huge Coke ovens. A) top of the map marked drift in the strangely named "Hell Hole Wood" not quite sure if this was part of the Mine (most likely) or a private venture? B) Below View Plantation "Old Coal Shaft" ? Heavy Tree area today, just like the Drift, possible some remains buried in the woods.
C) another "Old Coal Shaft" and reservoir complete with its own former wagon way, This unnamed Mine pre dates the Mary Colliery, Maps are not quite clear where the old wagon way went to. D) another old shaft.

This photograph is by lyons and was uploaded July 20th 2014. © lyons please do not copy or distribute without prior express permission.

Rating

Nobody has rated this photograph yet, why not be the first?

Copy & Paste Forum Code

To display this photograph in a forum message please copy the text below and paste it into your forum message:

[photo]95729[/photo]

To display this photograph in a forum message and link to the full size image please copy the text below and paste it into your forum message:

[link]95729[linkphoto]95729[/linkphoto][/link]